Inspekce uzavřela v obchodním centru dvě restaurace kvůli švábům

Orlický.net | 17.08.2025 | 17:21 | 2 min 2 min | #potravinynapranyri

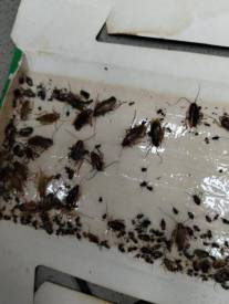
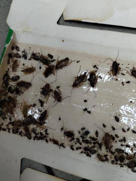
Státní zemědělská a potravinářská inspekce (SZPI) uzavřela v obchodním centru Kukleny v Hradci Králové dvě restaurace kvůli masivnímu výskytu hmyzích škůdců. V provozovnách Pizza Salvi a Asian Wok inspektoři objevili živé i mrtvé šváby, kteří mohli kontaminovat potraviny a suroviny.

Nemůžete číst? Pusťte si audio.
Ideální na cesty autem nebo při práci.

V restauraci Pizza Salvi, která byla uzavřena 13. srpna, inspektoři zjistili přítomnost hmyzích škůdců ve skladu potravin, pod regály, v úklidové místnosti a v místnosti na mytí nádobí. Největším problémem byl výskyt živého rusa domácího přímo v přípravně pokrmů na pracovní desce. Podobná situace byla zjištěna o den dřív i v restauraci Asian Wok, kde inspekce rovněž objevila značný počet hmyzích škůdců. Živí i uhynulí jedinci se nacházeli v přípravně a ve skladu, a to v hůře dostupných místech, v mřížce mrazicího zařízení, v regálech s potravinami a v lepových pastech. Zjištěny byly i zbytky po svlékání švábů a celkově zanedbaný úklid. SZPI oběma provozovnám uložila úplný zákaz užívání prostor do doby, než budou odstraněny všechny hygienické nedostatky. "Asian Wok - asijská kuchyně" Datum uvolnění zákazu: 15.08.2025 Referenční číslo: P25-000107-SZPI-CZ "PIZZA SALVI" Referenční číslo: P25-000108-SZPI-CZ

Fotogalerie

Autor fotografií: szpi.cz
Cover
Orlický CLUTCH ⚡

📍 Spot: Hradedc Králové
✍️ OG: Orlický.net
⚡ Views: 0

👀 TL;DR: SHRNUTÍ

17.08.2025 | 17:21
🔥 W 💀 L

📸 Need pics, nebo se to nestalo

Doporučené články

Další zprávy z lokality Hradedc Králové